ID CP2333079

Teren Industrial Zona Șagului

ID CP2333079

541,100 € (negociabil)

Teren de 19,325 mp de vânzare
Sagului, Timisoara
19,325 mp

Teren Industrial Zona Șagului

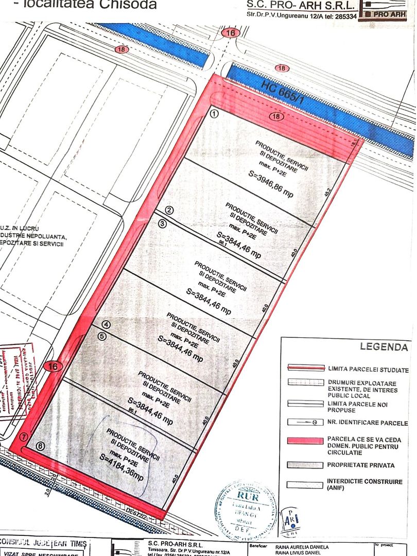
Prezentăm pentru vânzare teren industrial cu o suprafață totală de 19.325 mp, situat în zona de industrie nepoluantă, depozitare și servicii din Zona Șagului. Terenul divizat în 5 parcele, este ideal pentru activități de producție, servicii și depozitare, având următoarele parcele disponibile:

• 4 parcele a câte 3.844,46 mp

• 1 parcelă de 3.947 mp

Caracteristici urbanistice:

• Regim de înălțime maxim: P+2E (înălțimea la cornișă = 12m)

• Procent de ocupare a terenului (POT): 50%

• Coeficient de utilizare a terenului (CUT): 1,5

Accesul la teren se poate face din Parcul Industrial Incontro, iar utilitățile se află în proximitate. Se preferă vânzarea integrală a terenului, dar există și posibilitatea achiziționării pe parcele individuale.

Pentru mai multe detalii și oferte, vă rugăm să ne contactați!

Remus Beiusanu: 0785 997 537

remus.beiusanu@propertylab.ro

Eugenia Oancea: 0744 549 059

eugenia.oancea@propertylab.ro

CP2333079

Citește mai mult

  • Tip teren
    Construcții
  • Suprafață teren
    19,325 mp
  • Front stradal
    205.0 m
  • Număr fronturi stradale
    1
  • Deschidere la
    Drum de servitute
  • Clasificare
    Intravilan
  • Valoare incidență
    18.67
  • Disponibilitate
    Imediat
  • CUT
    1.5
  • POT (%)
    50.0
  • PUZ Aprobat
    Da
  • Certificat de urbanism
    Da
  • Număr etaje clădire
    2

Facilități

Acces auto
Curent
Iluminat stradal
La șosea
Mijloace de transport în comun
Oportunitate de investiții
Străzi asfaltate
Străzi pietruite
Utilități în zonă
Remus Beiușanu - PROPERTY LAB
Remus Beiușanu
Deputy Branch Manager Timișoara

+40 785 997 537


Solicită chiar acum o vizionare
Telefon
Email
Sună acum Solicită vizionare
Necesare:

Site-ul nu poate funcționa corect fără aceste cookie-uri. Vezi cookie-urile

Statistică:

Strângem statistici anonime despre voi, vizitatorii unici, pentru a vă îmbunătăți experiența dumneavoastră. Vezi cookie-urile

Marketing:

Pentru a ne promova mai eficient serviciile noastre, folosim cookies pentru a vă identifica și a vă oferi proprietăți și servicii personalizate. Vezi cookie-urile

Acest site folosește cookies, află detalii. Alege ce tipuri de cookies dorești să permitem: